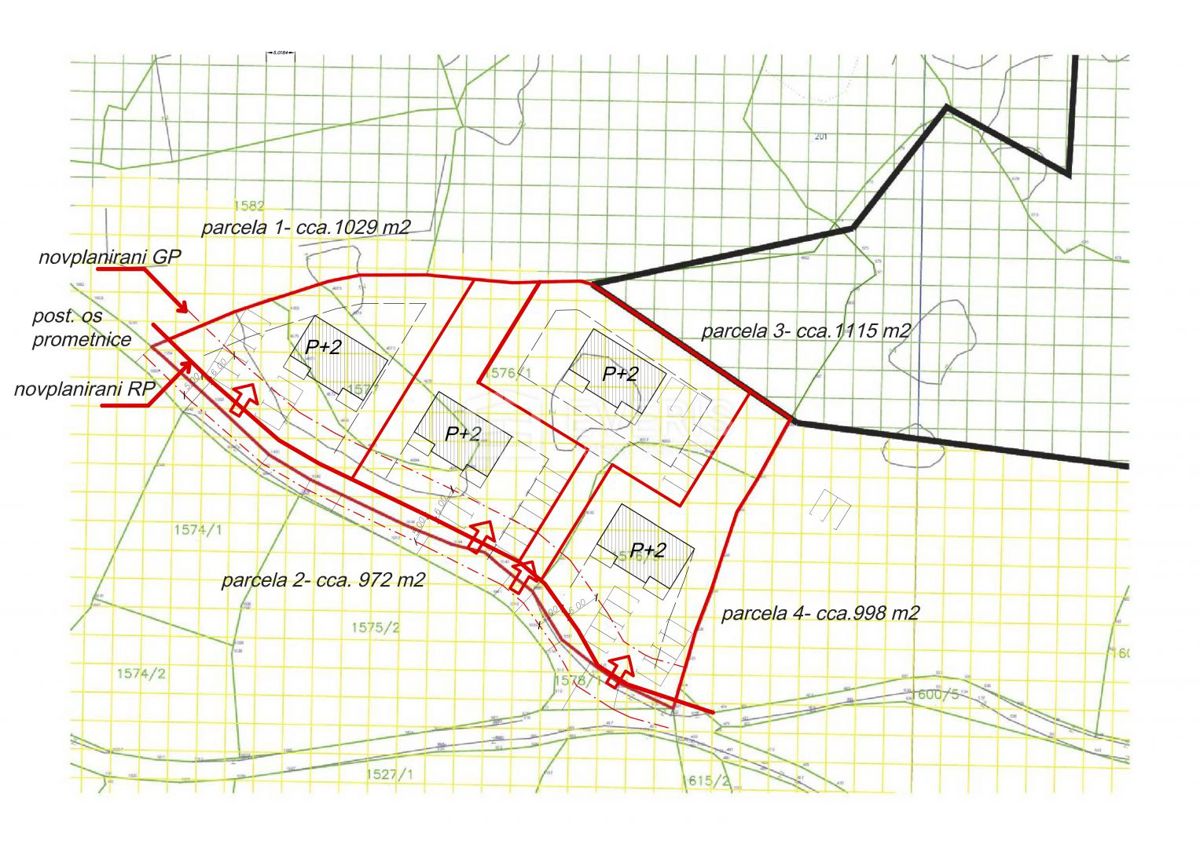
Terreno in città RIJEKA - con un prezzo di 267.000,00 € - con una superficie di 1335 m2

Foto dell'agenzia Everis Real Estate

REC ID 1256364

Dettagli