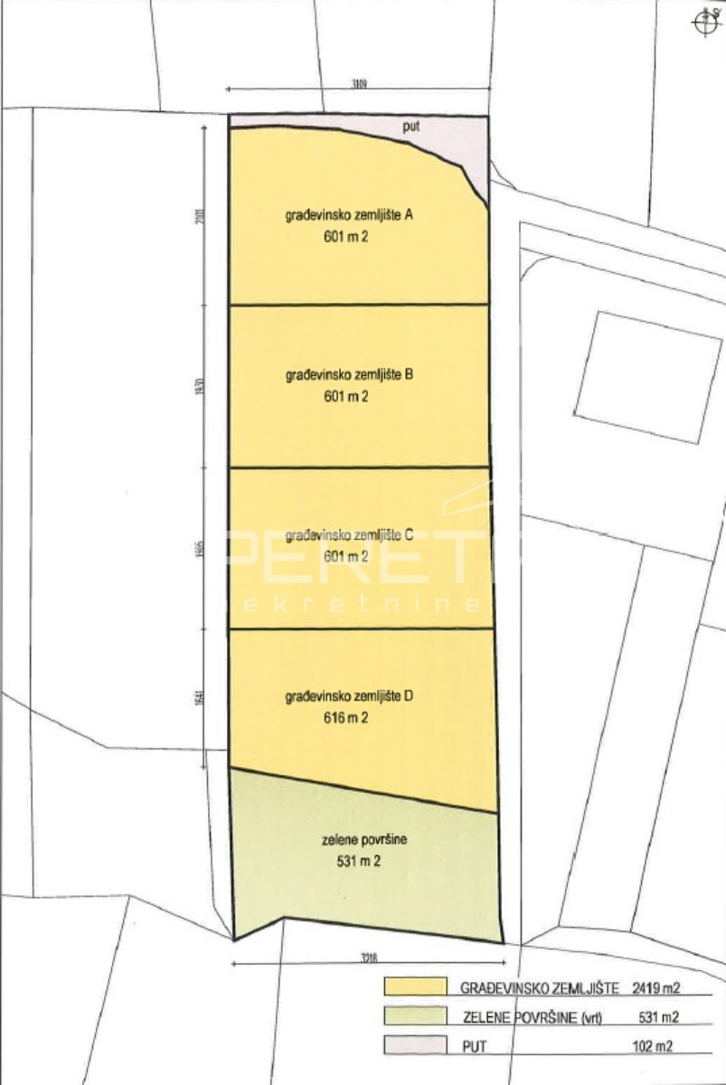
REC ID# 1282936 - REMETE