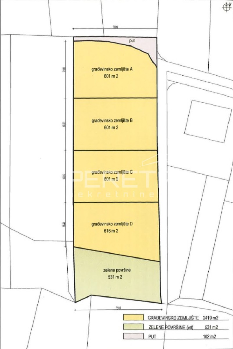
REC ID# 1282935 - REMETE