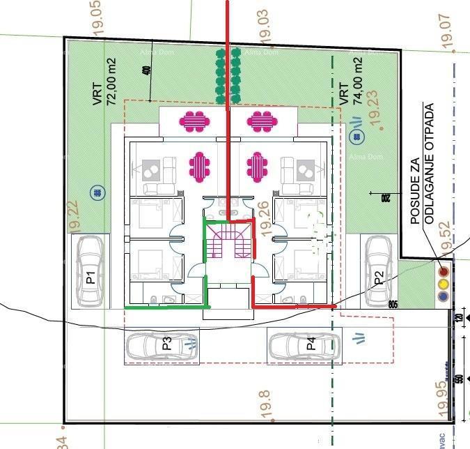
REC ID# 1247332 - LIŽNJAN